Низовинні акумулятивні рівнини і гори Альпійсько-Гімалайського поясу розділяє в Західній Європі смуга нагір’їв, крупних гірських масивів, припіднятих рівнин і невеликих хребтів. Припідняті пластові рівнини займають територію, що відповідає у структурному відношенні прогинам і синеклізам эпігерцинськой платформи. Складені вони в основному моноклінально або горизонтально залягаючими пластами пісковиків, вапняків і щільних глин. Така будова притаманна, наприклад, Паризькому (40 - 450 м) і Швабсько-Франконському (250 - 1000 м) басейнам.
П а р и з ь к и й б а с е й н має майже правильну форму округлої чаші, діаметром близько 400—500 км. Його центром виступає територія в районі Парижа, де р. Марна впадає в Сену. “Все могутніше врізається Марна своїми меандрами в покрите мозаїкою лісів і озер плато Брі, яке поступово піднімається аж до покритої виноградниками куести Еперне, Що припіднята над нескінченним горизонтом Шампанської рівнини. Крейдова рівнина Шампані у свою чергу непомітно підвищується. І ось, за м'якою хвилястістю вологої Шампані відкриваються чіткі вапнякові височини Барруа; лісисті плато тут досягають висоти 400 м, а врізані в них на глибину 200 м річки Мез і Мозель протікають на висоті, якої не сягають найвищі пагорби навколо Парижу. Юрські вапняки, що утворили куестову гряду Лотарингії, змінюються тріасовими глинами, в товщах яких поблизу Нансі ведеться видобуток солі. Рельєф стає ще могутнішим, а пісковики нижнього тріасу оконтурюють заболочені долини. Нарешті, поблизу Епіналя погляду представляється, закриваючи горизонт, величний масив Вогезів, кристалічний цоколь якого досягає висоти 1300—1400 м” (Мартонн, 1950).
|
|
|

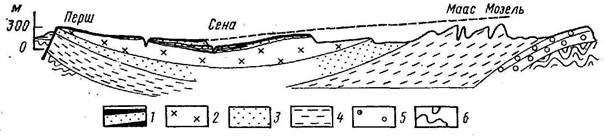
Мал. 5 Будова поперечного профілю Паризького басейну
1 - піски, глини, пісковики палеогенового віку; 2 - піски, глина, крейда, мергелі крейдового віку; 3 - глини і вапняки пізньої юри; 4 - вапняки, мергелі, доломіти, середньої і нижньої юри; 5 - пісковики, мергелі, вапняки, конгломерати тріасу; 6 - породи кристалічного фундаменту.
Ця прекрасна характеристика поперечного профілю східної половини Паризького басейну підкреслює всі основні особливості його рельєфу (мал. 5). Е. Мартонн вважає, що пластова рівнина Паризького басейну сформувалася в палеогені і неогені. Річки, що впадали в еоцені в озерну улоговину з Центрального Французького масиву і Вогез, нагромадили в ній піщаний алювій. Опускання західної і північно-західної частин цієї території в кінці олігоцену - початку міоцену призвело до акумуляції пісків, що заповнили древні долини. Наступне тектонічне підняття Паризького басейну в пліоцені було пов'язане з інтенсивними ростом Вогез і Арден на сході і Центрального Французького масиву на півдні. Виникле внаслідок цього ерозійне розчленовування древньої улоговини привело до утворення куест, броньованих щільними вапняками. Вапнякові кусты утворюють майже правильне кільце навколо центру басейну в районі Парижа. Ріки, що розчленовують їх, сформували числені врізані меандри і серію терас в долинах рік Сени, Марни, Уази висотою 100 - 130 м, 55 - 85, 30 - 35, 10 - 15 м.
|
|
|
Ш в а б с ь к о - Ф р а н к і н с ь к и й б а с е й н, так само як і Паризький, має ступінчастий моноклінальний рельєф. Куести опоясують лінійними височинами центральну частину рівнини з долиною Майна в районі Вюрцбурга, де пласти вапняків перекриті чохлом лесів. На південь ландшафти пісковикових плато Фран-кінського підняття змінюються платоподібними височинами, складеними мергелями, а потім плоскогір'ям Швабської Юри, де переважають вапняки. Пологе залягання пластів в районі долини Майна поступово стає крутішим і досягає 45° в районах Швабської Юри.

Мал. 6 Будова північної окраїни Швабської Юри.
1 - пісковики; 2 - вапняки; 3 - глини; 4 - мергелі; 5 - базальти; 6 - сланці.
На глинисто-мергелистих осадах пізнього мезозою і кайнозою поширений м'який, перерваний ланцюжками вапнякових куест косогірний рельєф, який з наближенням до зовнішньої окраїни рівнини докорінно змінюється. Юрські вапняки складають скелясті «стіни» обривів куест, що перериваються наскрізними долинами лівих приток Дунаю. Перед основною куестою Швабської Юри тягнеться неширока смуга денудаційних останців, броньованих вапняками (рис.6). Невеликі ділянки денудаційних пластових рівнин зустрічаються і в інших областях Західної Європи.
Альпійсько-Гімалайський гірський пояс з півночі і заходу оточує переривистий ланцюг масивів, нагір’їв і плоскогір’їв з фундаментом, утвореним герцинськими структурами. До цих масивів відносяться (із заходу на схід): Центральний Французький, Арморіканський, Арденни і Рейнські Сланцеві гори, Вогези і Шварцвальд, Чеський масив. Порівняно невелику площу серед них займають Гаронська і Верхньорейнська низовинні рівнини, розташовані на місці древніх прогинів і грабенів.
Середня висота нагір’їв і плоскогір’їв складає 800 - 1000 м, хоч коливання в різних геоморфологічних провінціях досягають 1000 м і більше. Наприклад, в Центральному Французькому масиві середні відмітки коливаються від 600 до 700 м, тоді як максимальна відмітка (гора Пюї-де-Сансі) досягає 1886 м. Таку ж картину можна спостерігати в горах Шварцвальд, де дно долини Рейну розташоване на висоті в 167 м, а вершини гір піднімаються до 1493 м.
Контури основних орографічних елементів в цих провінціях обумовлені мозаїчністю древніх структур, роздроблених неоген-четвертинними тектонічними рухами на окремі брили і блоки
Ц е н т р а л ь н и й Ф р а н ц у з ь к и й м а с и в (1886 м) служить головним вододілом найбільших річок Франції — Гаронни, Луари, Сени і Рони. Масив складний в основному кристалічними сланцями, пісковиками, гнейсами і гранітами палеозойського віку, на які місцями налягають мезозойські вапняки. Його перетинають тектонічні порушення як древнього, так і молодого закладення. У молодих грабенах зустрічаються товщі палеогенових пісковиків, неогенових і четвертинних лав, які вказують на посилення тектонічної діяльності в останні етапи розвитку.
Характерна риса рельєфу Центрального Французького масиву - ступінчастість його поверхні. Ці ступені більшість дослідників вважають залишками древніх поверхонь вирівнювання, серед яких розрізняють викопний пізньомезозойський пенеплен, що зберігся на північному заході, заході і півдні масиву, і третинний пенеплен (рис.7). На вирівняну поверхню останнього ніби «насаджені» вулканічні конуси і лавові поля. Такими є невеликі гірські масиви Канталь і Мон-Дор, а також гірський ланцюг Пюї на схід від них. У рельєфі відмінності між третинним і древнім пенепленом відсутні. Перед спостерігачем всюди відкривається хвиляста або косогірна рівнина, прорізана крутосхиловими річковими долинами.
|
|
|
Особливий вид мають центральні області масиву, де поширений вулканічний рельєф. Центри вулканічних вивержень приурочені до зон північного і північно-західного напрямів.
Поверхні лавових покривів, що покриваються горбами і вулканічні конуси - основні форми рельєфу вздовж цих порушень. Потужність потоків лав місцями досягає 400—500 м.

Мал. 7. Схема будови поверхні Центрального Французького масиву
(за Е. Мартонном);
1 - райони, де збереглися залишки пізньопалеозойського пенеплену; 2 - область поширення мезозойських осадових порід; 3 - область розвитку третинних денудаційних поверхонь; 4 - рівнини і басейни (грабени) з третинними відкладами; 5 — неогенові і четвертинні лавові покриви
Інтенсивна вулканічна діяльність в неогені і четвертинному періоді послужила причиною формування в алювіальних відкладах горизонтів попелу. Іноді лава при виверженнях стікала в річкові долини, перекриваючи піщано-галечниковий алювій. Місцями в розрізах виявляється обпалений лавою ліс (наприклад, в Пюї-де-Лассола), вік якого 7650±350 років. Поблизу східної межі масиву Мон-Дор встановлена група ще більш молодих згаслих вулканів, виверження яких відбувалися 6760, 6660, 5750 і 3450 років тому.
У четвертинну епоху Канталь, Пюї і гори Маржерід зазнали зледеніння. Не дивлячись на невелику висоту цих масивів, її виявилося достатньо для створення «вітрової тіні», із-за чого опади були сконцентровані в основному на західних схилах названих гір, де льодовики і отримали найбільший розвиток. У максимальну фазу зледеніння рівень межі хіоносфери досягав 1200 м на заході, і піднімався до 1700 м на східних схилах Центрального Французького масиву. Тут поширений весь «набір» екзараційних форм: кари, троги, ригелі, баранячі лоби. Довжина четвертинних льодовиків в максимальну фазу розвитку на західних схилах досягала майже 40 км. Льодовики, що сповзали на північ і схід, мали значно меншу довжину – 10 - 20 км і менше. Існування дольодовикових поверхонь вирівнювання і структурних плато привело до розпластування багатьох льодовиків і перетворення їх в своєрідні крижані покриви. Про це свідчить донна морена, що залягає на поверхні багатьох лавових плато. Вік цього зледеніння точно не встановлений. Проте відомо, що під покривами андезитів зустрічається морена дунайського часу (N23).
|
|
|
В історії рельєфу Центрального Французького масиву виділяють наступні етапи: крейда-палеоген - денудаційне вирівнювання; олігоцен - міоцен - слабке підняття; поновлення грабенів; вилив базальтових лав; ранній - середній пліоцен - інтенсивне тектонічне підняття; закладення сучасної річкової сітки, інтенсивна вулканічна діяльність; пізній пліоцен - ранній плейстоцен — заповнення річкових долин уламковим матеріалом, продовження вулканічних процесів, перша епоха зледеніння; середній плейстоцен - голоцен - інтенсивне врізання річкових долин, зледеніння в холодні епохи, завершення вулканічної діяльності.
Близькими до Центрального Французького масиву особливостями морфоструктури (за винятком вулканоструктур) має А р м о р і к а н с ь к и й м а с и в (417 м), що розташований на крайньому північному заході Франції і представляє систему низкогірних кряжів і окремих гряд. Головні риси його рельєфу створені процесами денудації, які відрепарували виступи щільних пісковиків і гранітів.
А р д е н и і Р е й н с ь к і С л а н ц е в і г о р и (880 м)є невисокими гірськими масивами, складеними пісковиками, кварцитами, піщано-глинистими сланцями і вапняками палеозойського віку. Масиви витягнуті смугою з північного сходу на південний захід майже на 300 км. Характерною рисою рельєфу є деформовані широкі поверхні денудаційного вирівнювання палеогенового віку. Вигин в подовжньому профілі цих поверхонь обумовлений неоген-четвертинними тектонічними рухами.
У північно-східній частині гір, уздовж долини р. Рейну, розташовані вершини Зібенгебірге, складені лавами, маари, улоговини яких часто зайняті озерами. Найбільш відомі серед останніх маари на масиві Ейфель. Тектонічно обумовлена прямолінійність долини Рейну, що оточуючий її з обох бортів вулканічний рельєф вказують на рифтогенний характер цієї області
В о г е з и (1426 м) і Ш в а р ц в а л ь д (1493 м) є двома масивами-близнюками, розділеними глибоким провалом Рейнського грабену. Разом вони утворюють крупне склепіння, немов «розрубане» посередині гігантською тріщиною. Вершини обох масивів мають округлий або платоподібний вид, своєрідність якому додають кари і карові озера - сліди льодовикових епох. Тут спостерігаються дві вирівняні поверхні, одну з яких вважають третинним пенепленом, а іншу - відкопною післягерцинською поверхнею вирівнювання.
Рейнський грабен, північним продовженням якого служить система невеликих грабенів (зокрема Лейнський), - середня ланка в системі рифтогенних структур, що починаються на шельфі Північного моря і закінчуються в Середземному морі. Південним продовженням рифтогенних структур Рейнського грабену є грабен р. Сони, що з'єднується з першими так званими Бургундськими воротами. Південніше, в басейні р. Рони, також встановлені поховані долини міоценового, пліоценового і ранньочетвертинного віку.
Таким чином, тектонічна активність вздовж трансєвропейської рифтової зони проявлялася в різний час - від пермі до четвертинного періоду (з півночі на південь). У долинах рік з нею були пов'язані епохи врізання і акумуляції. Наприклад, в долині Рони зафіксовані наступні етапи розвитку: акумуляція в міоцені; максимальне врізання на початку пліоцену; акумуляція і максимальне заповнення річкових долин уламковим матеріалом в другій половині пліоцену; врізання долини на початку ранньочетвертинного часу; акумуляція осадів в середньочетвертинний час; врізання долини в пізньочетвертинний час (вюрм); акумуляція осадів в післявюрмську епоху.
Брилова морфоструктура характерна і іншим горам і нагір'ям цієї геоморфологічної країни (Чеський масив і сусідні Судети, Шумава, Рудні гори та ін.). У рельєфі Ч е с ь к о г о м а с и в у (1603 м) спостерігаються низькі гори, височини, горбогір’я, улоговини. В їхній геологічній будові беруть участь палеозойські і докембрійські граніти і гнейси, слюдяні сланці, пісковики і мергелі, В північно-західній частині масиву вузькою смугою витягнуті вулканічні туфи, базальти та інші лави.
Диференціація рельєфу по висоті обумовлена новітніми тектонічними рухами. Окрїни Чеського масиву, розташовані на висоті 1000 - 1600 м, є системою асиметричних нахилених горстів (Рудні гори„ Чеський ліс, Шумава, Судети). Центральна частина Чеського масиву розташована в їх оточенніі і знаходиться на відмітках 250 - 800 м. На вершинних поверхнях межиріч збереглися фрагменти полеогенової поверхні вирівнювання. На північний захід від м. Праги (височина Брді, 862 м) спостерігається літоморфний рельєф у вигляді коротких гряд, складених кварцитами. Річкові долини глибокі з невеликою шириною.
На девонських карбонатних породах Чеського масиву поширені ділянки карстових плато. Найбільш відоме Моравське вапнякове плато. Дислоковані вапняки тут витягнуті смугами 3 - 6 км ширини і довжиною 25 км. Поширений як «голий», так і «покритий» карст з різноманітними формами у вигляді печер, воронок з понорами, глибоких провалів, каррових полів, ізольованих обривів. Глибина деяких провалів досягає 140 м.
Вздовж північно-західної межі Чеського масиву простягається смуга вулканічних утворень, обмежена добре вираженими в рельєфі тектонічними порушеннями. Ширина її близько 25 км. при довжині майже 190 км. Тут характерними формами рельєфу є вулканічні конуси і кальдери, лавові потоки і покриви, дайки і некки, відрепаровані процесами денудації.
Вулканоструктури не співпадають із структурними лініями герцинід і перети-нають останні майже так само, як рифтогенна структура Рейнського грабену перетинає брилу Вогези - Шварцвальд, Рейнські Сланцеві гори і інші древні масиви.
Таким чином, загальними рисами рельєфу, характерними для країни Західно-Європейських гір і піднесених рівнин, є: існування двох основних типів морфоструктур - пластових рівнині брилових гір, що зумовили розвиток структурно-денудаційного рельєфу; існування фрагментів поверхонь древнього денудаційного вирівнювання, перероблених четвертинними екзогенними процесами; наявність неоген-четвертинних вулканічних утворень поблизу рифтових зон; незначний вплив на рельєф четвертинного зледеніння.






