Геометрия конических колес. Связь между параметрами конического и
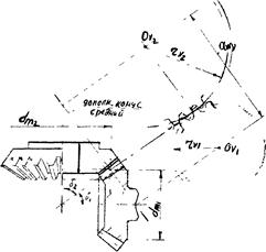
Размеры по внешнему торцу внешнему дополнительному конусу) колеса удобнее для измерения, их указывают на чертежах, а параметры, по которым ведуться расчеты в данном сечении являются стандартными.
При силовых и прочностных расчетах используются размеры среднего сечении зуба.
![]() |
Высота зуба, шаг и модуль конического колеса переменны по длине зуба. По стандарту выбирают максимальный (внешний) модуль me. Соответственно для конических зубчатых колёс различают: делительные диаметры - внешний de, средний dm; начальные диаметры - dwe, dwm; диаметры вершин зубьев - внешний dae, средний dme; диаметры впадин зубьев - dfe, dfm.
Формулы для определения некоторых геометрических параметров:
- внешнее конусное расстояние по делительному конусу:
, или 
- внешний диаметр вершин:

Размеры в среднем сечении зуба:


- коэффициент ширины колеса.
Среднее конусное расстояние

Передаточное число

Форма зуба конического колеса в нормальном сечении такая же, как и у цилиндрического прямозубого колеса. Эвольвентное колесо, замещающее реальное коническое колесо по профилю зубьев, называют эквивалентным.
![]() |
Из рисунка очевидны зависимости диаметров делительных окружностей эквивалентных колёс от средних делительных диаметров конических колёс:









