В нефтяном пласте распределение газа, нефти и воды базируется на взаимодействии следующих факторов: относительной плотности пластовых жидкостей, относительного насыщения порового пространства каждой из них, капиллярного давления и давления вытеснения, гидродинамических условий в пласте, пористости, проницаемости и состава коллектора. В ловушках, где встречаются газ, нефть и вода, пластовые жидкости приближенно распределяются по удельным весам, т.е. слоями. Газ, будучи наиболее легким, заполняет пустоты в повышенной части нефтяного пласта; под газом располагается слой коллектора, в котором пустоты заполнены в основном нефтью, а еще ниже располагается вода. В газовой залежи при отсутствии нефти газ залегает непосредственно над водой.
Все сказанное выше применимо к специфической жидкости в каждом пласте. На рисунке 15 изображена схема распределения нефти, газа и воды в нефтяном пласте. Предполагается, что пластовые жидкости состоят из воды, свободного газа, нефти с растворенным в ней газом и нефти. Встречаются некоторые исключения из обычно однородного залегания слоев жидкости в нефтяном пласте. Эти отклонения можно объяснить нарушениями пористости, проницаемости, местными сбросами, линзообразованием и другим и аномальными условиями, которые нельзя обычно обнаружить, исходя из обычных сведений о пласте.
|
|
|
Иногда по характеру водонефтяного раздела в залежи можно выяснить некоторые данные о ловушке, ее геологическом развитии и взаимосвязи с аккумуляцией нефти и газа.

Рис. 15. Схематический разрез обычного нефтяного пласта с относительным распределением газа, нефти и воды (по А.И. Леворсену): а – поперечный разрез структуры; б – насыщение пористой среды жидкостями; 1 – газ; 2 – нефть (среднее содержание 80% нефти и 20% воды); 3 – нефть; 4 – вода (100%); 5 – вода; 6 – переходная зона от нефти к воде; 7 – переходная зона от газа к нефти.
Наиболее удачные примеры строения месторождений приведены в работах А.И. Леворсена. Приведем эти месторождения. Так, например, на рисунке 16 приведен геологический разрез месторождения Конрой, Тексас, из которого видно, что несколько продуктивных песчаников Кокфилд, члена группы Клеборн (эоцен), переслоены сланцами и пропластками песчаника и низкой проницаемостью.

Рис. 16. Геологический разрез продуктивного горизонта месторождения Конрой, округ Монтгомери, Тексас. Общий водонефтяной и газонефтяной контакты показывают гидродинамическую связь между различными продуктивными песками в свите Кокфило, члена группы Клеборн (эоцен) (по А.И. Леворсену).
Несмотря на всю сложность геологического строения, водонефтяной раздел располагается на одинаковой гипсометрической отметке – 1500 м. Газонефтяной раздел находится в пределах 1485 – 1488 м, изредка доходя до 1480,5 м ниже уровня моря. Равномерность глубины залегания этих разделов жидкостей указывает, что между всеми песчаниками существует гидродинамическая связь. На рис.17 приведен разрез по структуре месторождения Тен-Секшн, Калифорния, из которой видно, что каждый из пяти пластов песчаника, приуроченных к зоне Стивенс (миоцен), представляет собой изолированный нефтяной пласт, не сообщающийся с другими. В каждом песчанике имеется свой водонефтяной контакт; из этих песчаных пластов три имели первоначально газонефтяные контакты. Каждый из этих пластов имел шапку свободного газа в приподнятой части складки.
|
|
|

Рис. 17. Разрез месторождения Тен-Секшн, округ Керн, с указанием зоны Стивенс (миоцен), из пяти песчаных пластов которой добывают нефть и газ. Из трех верхних песчаников добывают свободный газ и нефть, а из нижних двух песчаников добывают исключительно ненасыщенную нефть. Различные уровни водонефтяного контакта, а также различная нефте- и газонасыщенность в каждом из отдельных песчаников показывают, что они являются изолированными подземными коллекторами нефти, не имеющими между собою гидродинамической связи (по А.И. Леворсену).
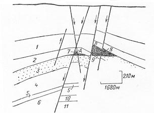
Особенно нагляден геологический разрез месторождения Ван, Восточный Тексас (рис. 18).

Рис. 18. Геологический разрез месторождения Ван, округ Ван-Зандт, Тексас, с указанием общего водонефтяного контакта, характеризующего, несмотря на рассеченность месторождения некоторым количеством сброшенных блоков, связь формирования складки с глубоко захороненной интрузией соли (по А.И. Леворсену).
1 – интервал Пекан; 2 – мел Остин; 3 – песчаник Вудбайн; 4 – свита Команч; 5 – Пэлокси; 6 – верхний Глен-Роуз; 7 – первоначальная газовая шапка; 8 – нефть и газ; 9 – водонефтяной контакт; 10 – ангидрит Глен-Роуз; 11 – нижний Глен-Роуз.
Водонефтяной контакт находится на одном и том же уровне во всех сбросовых блоках, на которые разбита основная структура, представляющая собой куполообразное поднятие, перекрывающее глубоко залегающий соляной сток. Когда была вскрыта залежь, то в нижнем блоке, обозначенном на рисунке буквой А, оказалась шапка свободного газа. Это приводит к мысли, что аккумуляция нефти и газа произошла до процесса сбросообразования. При этом наивысшая часть ловушки (блок А) была сброшена относительно остальной части купола. Гидравлическая связь, существующая внутри нефтяной зоны между различными сбросовыми блоками, дала возможность установиться водонефтяному зеркалу на общем уровне по всей залежи. В то же самое время газонефтяной контакт в нижнем сбросовом блоке был защищен покрышкой, запечатанной подстилающей нефтью, и поэтому остался нетронутым.
На рисунках 19, 20, 21, 22 и 23 приведены примеры месторождений с различными типами залежей.
ЗАЛЕЖИ ПАШИЙСКИХ ОТЛОЖЕНИЙ СХЕМАТИЧЕСКИЙ РАЗРЕЗ ПО ЛИНИИ I-I

НЕФТЯНАЯ ЗАЛЕЖЬ ПЛАСТА Д-| ПАШИЙСКИХ ОТЛОЖЕНИЙ

Рис. 19. Пластово-сводовая залежь.
Радаевское месторождение Волго – Уральская нефтегазоносная провинция
(по В.И. Калинину).
НЕФТЯНАЯ ЗАЛЕЖЬ БАШКИРСКИХ ОТЛОЖЕНИЙ

НЕФТЯНЫЕ ЗАЛЕЖИ БАШКИРСКИХ ОТЛОЖЕНИЙ

Рис.20. Массивная залежь.
Могутовское месторождение Волго – Уральская нефтегазоносная провинция
(по В.П. Багданову и В.Ф. Крымову).

Рис.21. Литологически экранированная залежь.
Гожанское месторождение Волго-Уральская нефтегазоносная провинция (по Н. С. Шик).

Рис.22. Стратиграфическая залежь. Месторождение Южный Амчышик.
Ферганская нефтегазоносная область (по П. К. Азимову).

Рис.23. Пластово-сводовая тектонически экранированная залежь. Глинско-Розбышевское месторождение Днепровско - Припятская газонефтеносная провинция (по П.Т. Павленко, Л. С. Палец).
|
|
|
В качестве попытки разностороннего рассмотрения залежей следует рассматривать классификацию залежей углеводородрв по следующим признакам: запасы, строение коллектора в ловушке, тип коллектора, тип экрана вловушке, величина рабочих дебитов. Как показывает практика, наиболее важной, с точки зрения экономики и методики ведения поисково-разведочных работ, является классификация залежей по их фазовому состоянию. Ниже (табл.8) приведен пример подобной классификации.
Таблица 8.
Классификация и номенклатура залежей УВ по фазовому состоянию
и количественному соотношению газа, нефти и конденсата
| Предлагаемое наименование залежей (обозначение) | Основные особенности залежей |
| Однофазовые залежи | |
| Газовые (Г) | Состоят в основном из СН4 с содержанием пентана и более тяжелых УВ не более 0,2 % объема залежи |
| Газоконденсатно- газовые (ГКГ) | Газовые залежи с содержанием С5 + высш. в пределах 0,2-0,6 % объема залежи, что примерно соответствует содержанию конденсата до 30 см3/м3 |
| Газоконденсатные (ГК) | Газовые залежи с содержанием С5 + высш. в пределах 0,6-4 % объема залежи, что примерно соответствует содержанию конденсата 30-250 см3/м3 |
| Конденсатные (К) | Газовые залежи с содержанием C5 + высш. более 4 % объема залежи, что примерно соответствует содержанию конденсата более 250 см3/м3 |
| Залежи переходного состояния (ЗПС) | Залежи УВ, которые по своим физическим свойствам (вязкости, плотности) в пластовых условиях близки к критическому состоянию, занимая промежуточное положение между жидкостью и газом |
| Нефтяные (Н) | Залежи нефти с различным содержанием растворенного газа (обычно менее 200-250 м3/т) |
| Двухфазовые залежи | |
| Нефтегазовые (НГ) | Газовые залежи с нефтяной оторочкой; запасы газа больше геологических запасов нефти |
| Газонефтяные (ГН) | Залежи нефти с газовой шапкой; геологические запасы нефти превышают запасы газа |
| Нефтегазо- конденсатные (НГК) | Газоконденсатные или конденсатные залежи с нефтяной оторочкой; запасы газа и конденсата превышают запасы нефти |
| Газоконденсатно-нефтяные (ГКН) | Нефтяные залежи с газоконденсатными шапками; геологические запасы нефти превышают запасы газа и конденсата |
Наиболее широкое распространение получила классификация залежей И.О.Брода, в которой в качестве главного признака используется тип природного резервуара. В соответствии с тремя типами природных резервуаров в ней выделяются три основные группы залежей (рис.24):
|
|
|
1) пластовые; 2) массивные; 3) залежи, литологически ограниченные со всех сторон.

Рис.24. Залежи нефти и газа (по И.О.Броду).
Пластовые: а - сводовая, б, в – тектонически экранированные, г – стратиграфически экранированная, д – литологически экранированная.
Массивные: е – в сводовом выступе, ж – в эрозионном выступе, з – в рифогенном выступе.
Литологически ограниченные со всех сторон: и – в песчаных линзах среди плохопроницаемых пород, к – в зонах повышенной проницаемости в известняках и доломитах.
Комбинированные: л – пластово-сводовая тектонически экранированная, м – пластово-сводовая литологически экранированная.
1 – нефть и (или) газ, 2 – вода, 3 – песчаные породы, 4 – глины, 5 – песчаные глины, 6 – известняки и доломиты, 7 – соли, гипсы, ангидриты.






