Определение прямоугольных координат объекта по карте циркулем. Циркулем измеряют по перпендикуляру расстояние от данного объекта до нижней километровой линии и по масштабу определяют его действительную величину. Затем эту величину в метрах приписывают справа к подписи километровой линии, а при длине отрезка более километра вначале суммируют километры, а затем также приписывают число метров справа. Это будет координата объекта Х (абсцисса).
Таким же приемом определяют и координату Y (ординату), только расстояние от объекта измеряют до левой стороны квадрата, При отсутствии циркуля расстояния измеряют линейкой или полоской бумаги.Пример определения координат объекта А показан на рис. 18:
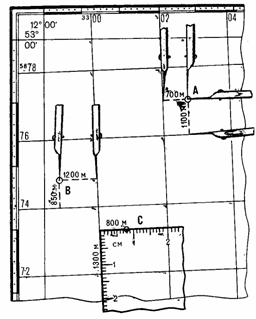
Х= 5 877100; У = 3 302 700.
Здесь же дан пример определения координат объекта В, расположенного у рамки листа карты в неполном квадрате:
Х= 5 874 850; Y = 3 298 800.

Рис. 18. Определение прямоугольных координат объектов по карте
Определение прямоугольных координат координатомером. Координатомер — приспособление для отсчета координат. Наиболее распространен коордииатомер в виде прямого угла прозрачной линейки, по сторонам которого нанесены миллиметровые деления. Такого типа координатомер имеется на командирской линейке.
При определении координат коордпнатомер накладывают на квадрат, в котором располагается объект и, совместив вертикальную шкалу с его левой стороной, а горизонтальную — с объектом, как показано на рис. 18, снимают отсчеты.
Отсчеты в миллиметрах (десятые миллиметра отсчитывают на глаз) в соответствии с масштабом карты преобразуют в действительные величины — километры и метры, а затем величину, полученную по вертикальной шкале, суммируют (если она больше километра) с оцифровкой нижней стороны квадрата или приписывают к ней справа (если величина меньше километра). Это будет координата Х объекта.
Таким же порядком получают и координату Y — величину, соответствующую отсчету по горизонтальной шкале, только суммирование производят с оцифровкой левой стороны квадрата.
На рис. 18 показан пример определения прямоугольных координат объекта С: Х = 5 873 300; У = 3 300 800.
Нанесение объекта на карту по прямоугольным координатам циркулем или линейкой. Прежде всего по координатам объекта в километрах и оцифровкам километровых линий находят на карте квадрат, в котором должен быть расположен объект.
Квадрат местонахождения объекта на карте масштаба 1: 50 000, где километровые линии проведены через 1 км, находят непосредственно по координатам объекта в километрах.
На карте масштаба 1: 100 000 километровые линии проведены через 2 км и подписаны четными числами, поэтому если одна или две координаты объекта в километрах нечетные числа, то нужно находить квадрат, стороны которого подписаны числами на единицу меньше соответствующей координаты в километрах.
На карте масштаба 1: 200 000 километровые линии проведены через 4 км, поэтому стороны нужного квадрата будут подписаны числами, кратными четырем, меньшими соответствующей координаты объекта в километрах на один, два или три километра. Например, если даны координаты объекта (в километрах): Х = 6755 и У = 4613, то стороны квадрата будут иметь оцифровки: 6752 и 4613. После нахождения квадрата, в котором расположен объект, рассчитывают удаление объекта от нижней стороны квадрата и откладывают его в масштабе карты от нижних углов квадрата вверх. К полученным точкам прокладывают линейку и от левой стороны квадрата, также в масштабе карты, откладывают расстояние, равное удалению объекта от этой стороны.На рис. 19 показан пример нанесения на карту объекта А по координатам: Х=3 768 850, У=29 457 500.

Рис. 19. Нанесение объектов на карту по прямоугольным координатам
Нанесение объекта на карту координатомером, выгравированным на командирской линейке. По координатам объекта в километрах и оцифровке километровых линий определяют квадрат, в котором находится объект. На этот квадрат накладывают координатомер так же, как и при определении координат (см. рис. 18), совмещают его вертикальную шкалу с западной стороной квадрата так, чтобы против нижней стороны квадрата был отсчет, соответствующий координате Х в масштабе карты минус оцифровка этой стороны квадрата. Затем, не изменяя положения координатомера, находят на горизонтальной шкале отсчет, соответствующий (также В масштабе карты) раэности координаты Y объекта и оцифровки западной стороны квадрата. Точка против штриха у этого отсчета будет соответствовать положению объекта на карте.
На рис. 19 показан пример нанесения на карту объекта В, расположенного в неполном квадрате, по координатам:
Х = 3 765 500; У = 29 45750.
В данном случае координатомер наложен так, чтобы горизонтальная шкала его была совмещена с северной стороной квадрата, а отсчет против западной его стороны соответствовал разности координаты Y объекта и оцифровки этой стороны (29457 км 650 м - 29456 км = 1 км 650 м). Отсчет, соответствующий разности оцифровки северной стороны квадрата и координате Y объекта (3766 км - 3765 км 500 м), отложен по вертикальной шкале вниз. Точка против штриха у отсчета 500 м будет указывать положение объекта на карте.
Поверки нивелира. Перед поверками нивелира необходимо, во-первых, отрегулировать длину пузырька уровня и, во-вторых, при помощи круглого уровня приближенно привести ось вращения нивелира в вертикальное положение. Без этого нельзя будет увидеть изображение половинок концов пузырька через оптическую систему уровня.
Глухой нивелир НГ должен удовлетворять следующим условиям:
1. Ось цилиндрического уровня должна быть перпендикулярна к оси вращения инструмента.
Приведя при помощи круглого уровня ось вращения нивелира в рабочее положение, устанавливают ось цилиндрического уровня по направлению двух подъемных винтов и, действуя ими, приводят пузырек уровня на контакт изображений половинок его концов, наблюдаемых через призменную систему. Затем поворачивают верхнюю часть инструмента на 180°. Если после этого контакт не нарушится, то условие выполнено. В противном случае, действуя исправительным винтом. при уровне, уменьшают расхождение изображений на половину. Поверку повторяют до тех пор, пока условие будет выполнено, уточняя перед каждым повторением поверки приведение оси вращения нивелира в вертикальное положение при помощи цилиндрического уровня. Повторяя таким образом поверку несколько раз, можно добиться выполнения указанного условия и попутно привести ось вращения инструмента в вертикальное положение. Если при контакте изображений пузырек, наблюдаемый через боковой прорез в коробке уровня, не окажется в середине трубки, то в этом случае нулъпункт уровня следует считать перемещенным в ту точку, которая соответствует контакту изображений, наблюдаемых через призменную систему.
2. Ось круглого уровня должна быть параллельна оси вращения нивелира, После приведения при помощи поверенного цилиндрического уровня оси вращения нивелира в вертикальное положение пузырек круглого уровня должен находиться в центре окружности на коробке уровня.
Это условие должно быть выполнено заводом, и поэтому круглый уровень нивелира НГ исправительных винтов не имеет. Однако отрегулировать положение пузырька в случае невыполнения названного условия можно, освободив винты, скрепляющие уровень с подставкой, и положив под уровень бумагу или станиоль так, чтобы после закрепления уровня условие выполнялось.
3. Горизонтальная нить сетки должна быть перпендикулярна к оси вращения нивелира.
После приведения оси вращения нивелира в вертикальное положение приводят пузырек уровня на контакт, наводят поверяемую нить сетки на какую-либо точку (или берут отсчет по рейке) и наводящим винтом вращают медленно корпус трубы; нить при этом должна оставаться на данной точке (или отсчет по рейке не должен изменяться). В противном случае юстировку выполняют, как у теодолита. Установив правильно сетку, в дальнейшем при повторении поверок эту можно не повторять.
4. Визирная ось зрительной трубы должна быть параллельна оси цилиндрического уровня.
Поверка выполнения этого условия может быть осуществлена двойным нивелированием одной и той же линии при расстоянии между нивелируемыми точками 40—50 м; линию А В нивелируют дважды по способу вперед, установив нивелир и рейку.
Измерив высоты инструмента i1 и i2 и приводя каждый раз пузырек уровня на контакт изображений, делают по рейке отсчеты b1 и b2. Если бы условие параллельности визирной оси и оси уровня было выполнено, то верные отсчеты по рейке были бы соответственно равны b1’ и b2’. При невыполнении этого условия в оба отсчета войдет ошибка х, определив которую, найдем верные отсчеты
b1’ = b1 – x и b2’ = b2 – x.
Для абсолютного значения превышения h можно написать два выражения:
½h½ = i1 – b1’ = i1 – b1 + x.
½h½ = b2’ – i2 = – i2 + b2 – x,
i1 – b1 + x = – i2 + b2 – x
x = –
Найдя ошибку х, вычисляют верный отсчет по второй формуле (а). На этот отсчет и должна быть установлена горизонтальная нить сетки при помощи исправительных винтов. После юстировки поверку повторяют.
Если нивелир устанавливать так, чтобы окуляр трубы при горизонтальном положении визирной оси был впереди колышка на 2—3 см, то, поставив на колышек рейку, можно весьма точно отсчитать по рейке высоту инструмента. Для этого на объектив надевают крышку, сделанную из картона, окрашенного в черный цвет, и имеющую в середине круглое отверстие диаметром 2—3 мм. Наблюдатель, глядя на рейку через отверстие, дает указание помощнику установить на рейке движок из тонкого прозрачного целлулоида с черным горизонтальным штрихом так, чтобы штрих был виден точно в середине отверстия крышки.
После этого, отведя глаз от трубы, наблюдатель делает отсчет по рейке, пользуясь этим штрихом.
Геодезические приборы. Тахеометр и тахеометрическая съемка
Тахеометр — геодезический прибор, применяемый при тахеометрической съемке для измерения расстояний, а также горизонтальных и вертикальных углов. На основе этих данных определяются превышения, горизонтальные проложения и координаты измеряемых точек.
Электронный тахеометр — самый универсальный и интеллектуальный геодезический прибор. Встроенный микропроцессор позволяет тахеометру самостоятельно решать широкий спектр задач:
· прямая и обратная геодезическая задача;
· рассчет площадей, вычисление засечек, тахеометрическая съемка и вынос в натуру;
· измерения относительной базовой линии;
· определение недоступных расстояний и высот.
Полученные данные хранятся в памяти тахеометра и могут быть переданы на компьютер. Благодаря использованию жидкокристаллического экрана и клавиатуры, управлять тахеометром ничуть не сложнее, чем любым другим геодезическим прибором. При этом объем работ, который может быть выполнен при использовании тахеометра, будет намного больше.
Тахеометры обладают следующими полезными возможностями:
· электронной системой слежения за вертикальностью прибора (электронные уровни и компенсатор);
· лазерным дальномером, который, помимо измерений с отражателем, часто оснащен также безотражательным режимом измерения расстояний (позволяет тахеометру производить измерения непосредственно на поверхность объекта);
· памятью, в которой хранятся все измерения и рассчеты, выполненные тахеометром системой учета коллимации и рефракции, что дает возможность работать с тахеометром только при одном круге;
· более совершенные модели тахеометров оснащены сервомоторами и возможностью автоматического захвата и слежения за отражателем. Такой тахеометр производит измерения в роботизированном режиме при минимальном участии наблюдателя.