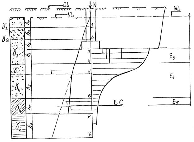
а) Вычерчивается геологическая колонка и рядом с нею наносятся контуры фундамента. При расчете осадки свайного фундамента наносятся контуры условного фундамента. Если в свайном фундаменте присутствуют наклонные сваи, то вертикальная грань массива будет проходить через нижние концы наклонных свай.
б) Строится эпюра вертикальных напряжений от собственного веса грунта
. Так как эта величина является линейной функцией удельного веса и толщины слоя грунта, то достаточно определить значение напряжений в характерных точках, т.е. на границах слоев, под подошвой фундамента, на уровне грунтовых вод. За нулевую точку принимают отметку поверхности природного рельефа или планировки срезкой. Насыпной слой возрастом менее 5 лет в расчетах не учитывают.
Формула для определения напряжений от собственного веса грунта в i – характерной точке выглядит так:

Где:
·
- напряжение в интересующей точке, кПа
·
- напряжение в предыдущей точке, кПа
·
- удельный вес i-го слоя грунта, кН/м3
Удельный вес грунтов, залегающих ниже уровня грунтовых вод, (WL) должен вычисляться с учетом взвешивающего влияния воды на грунтовый скелет, например в точке 6:

Если ниже уровня грунтовых вод в основании залегает водоупор, глина с
; суглинок
; скальный нетрищиноватый, то необходимо учесть гидростатическое давление воды на этот водоупорный слой:

Где:
- удельный вес воды;
- высота столба воды, м
Например в точке 7:
; т.е. на эпюре будет скачок 
В соответствии с полученными значениями строится эпюра напряжений от собственного веса грунта путем откладывания в масштабе ее ординаты влево от оси фундамента. В пределах одного пласта величина напряжений изменяется по линейному закону и промежуточные значения могут быть найдены интерполяцией.
в) Построение эпюры дополнительных вертикальных нормальных напряжений 
Дополнительное напряжение в грунте по оси фундамента в горизонтальном сечении, расположенном на глубине Z от подошвы фундамента, находится по формуле:

Где:
· Р – среднее давление под подошвой фундамента, кПа
·
- дополнительное напряжение в грунте на уровне подошвы фундамента, кПа.
·
- коэффициент, учитывающий изменение дополнительного напряжения по глубине, принимаемой по таблице 9 или приложению 2 СНиП 2.02.01-83* в зависимости от относительной глубины (отношение расстояния от подошвы фундамента до точки в которой ищем дополнительное давление, к половине ширины фундамента).
А так же в зависимости от формы подошвы, а для прямоугольного фундамента и от отношения его сторон (длины
к ширине b):

Коэффициент a
| x = 2 z / b | Коэффициент a для фундаментов | |||||||
| круглых | прямоугольных с соотношением сторон h = l / b, равным | ленточных (h ³ 10) | ||||||
| 1,0 | 1,4 | 1,8 | 2,4 | 3,2 | ||||
| 1,000 | 1,000 | 1,000 | 1,000 | 1,000 | 1,000 | 1,000 | 1,000 | |
| 0,4 | 0,949 | 0,960 | 0,972 | 0,975 | 0,976 | 0,977 | 0,977 | 0,977 |
| 0,8 | 0,756 | 0,800 | 0,848 | 0,866 | 0,876 | 0,879 | 0,881 | 0,881 |
| 1,2 | 0,547 | 0,606 | 0,682 | 0,717 | 0,739 | 0,749 | 0,754 | 0,755 |
| 1,6 | 0,390 | 0,449 | 0,532 | 0,578 | 0,612 | 0,629 | 0,639 | 0,642 |
| 2,0 | 0,285 | 0,336 | 0,414 | 0,463 | 0,505 | 0,530 | 0,545 | 0,550 |
| 2,4 | 0,214 | 0,257 | 0,325 | 0,374 | 0,419 | 0,449 | 0,470 | 0,477 |
| 2,8 | 0,165 | 0,201 | 0,260 | 0,304 | 0,349 | 0,383 | 0,410 | 0,420 |
| 3,2 | 0,130 | 0,160 | 0,210 | 0,251 | 0,294 | 0,329 | 0,360 | 0,374 |
| 3,6 | 0,106 | 0,131 | 0,173 | 0,209 | 0,250 | 0,285 | 0,319 | 0,337 |
| 4,0 | 0,087 | 0,108 | 0,145 | 0,176 | 0,214 | 0,248 | 0,285 | 0,306 |
| 4,4 | 0,073 | 0,091 | 0,123 | 0,150 | 0,185 | 0,218 | 0,255 | 0,280 |
| 4,8 | 0,062 | 0,077 | 0,105 | 0,130 | 0,161 | 0,192 | 0,230 | 0,258 |
| 5,2 | 0,053 | 0,067 | 0,091 | 0,113 | 0,141 | 0,170 | 0,208 | 0,239 |
| 5,6 | 0,046 | 0,058 | 0,079 | 0,099 | 0,124 | 0,152 | 0,189 | 0,223 |
| 6,0 | 0,040 | 0,051 | 0,070 | 0,087 | 0,110 | 0,136 | 0,173 | 0,208 |
| 6,4 | 0,036 | 0,045 | 0,062 | 0,077 | 0,099 | 0,122 | 0,158 | 0,196 |
| 6,8 | 0,031 | 0,040 | 0,055 | 0,064 | 0,088 | 0,110 | 0,145 | 0,185 |
| 7,2 | 0,028 | 0,036 | 0,049 | 0,062 | 0,080 | 0,100 | 0,133 | 0,175 |
| 7,6 | 0,024 | 0,032 | 0,044 | 0,056 | 0,072 | 0,091 | 0,123 | 0,166 |
| 8,0 | 0,022 | 0,029 | 0,040 | 0,051 | 0,066 | 0,084 | 0,113 | 0,158 |
| 8,4 | 0,021 | 0,026 | 0,037 | 0,046 | 0,060 | 0,077 | 0,105 | 0,150 |
| 8,8 | 0,019 | 0,024 | 0,033 | 0,042 | 0,055 | 0,071 | 0,098 | 0,143 |
| 9,2 | 0,017 | 0,022 | 0,031 | 0,039 | 0,051 | 0,065 | 0,091 | 0,137 |
| 9,6 | 0,016 | 0,020 | 0,028 | 0,036 | 0,047 | 0,060 | 0,085 | 0,132 |
| 10,0 | 0,015 | 0,019 | 0,026 | 0,033 | 0,043 | 0,056 | 0,079 | 0,126 |
| 10,4 | 0,014 | 0,017 | 0,024 | 0,031 | 0,040 | 0,052 | 0,074 | 0,122 |
| 10,8 | 0,013 | 0,016 | 0,022 | 0,029 | 0,037 | 0,049 | 0,069 | 0,117 |
| 11,2 | 0,012 | 0,015 | 0,021 | 0,027 | 0,035 | 0,045 | 0,065 | 0,113 |
| 11,6 | 0,011 | 0,014 | 0,020 | 0,025 | 0,033 | 0,042 | 0,061 | 0,109 |
| 12,0 | 0,010 | 0,013 | 0,018 | 0,023 | 0,031 | 0,040 | 0,058 |
Примечание:
1. Для фундаментов, имеющих подошву в форме правильного многоугольника с площадью А, значения a принимаются как для круглых фундаментов радиусом

2. Для промежуточных значений x и h коэффициент a определяется по интерполяции.
Шаг по глубине с которым определяют дополнительные напряжения не должен превышать 0,4b. Для того, чтобы избежать интерполирования по x рекомендуется, задавшись табличным значением x, определять в зависимости от него Z, при этом полученное значение не должно превышать 0,4b, т.е.

Вычисление эпюр дополнительных напряжений ведется в табличной форме:
| Z, м | | α | |
Полученные значения ординат эпюры дополнительных напряжений откладывают в соответствующих точках вправо от оси фундамента в том же масштабе, что и значения эпюры напряжений от собственного веса грунта (см. рисунок 14).
г) Нижняя граница сжимаемой толщи находится на такой глубине, где напряжение от собственного веса грунта в 5 раз превышает дополнительное:

Графически этот уровень находят по точке пересечения эпюры
с увеличенной в 5 раз и отложенной влево от оси фундамента эпюрой дополнительных напряжений
.
При этом нет необходимости строить всю увеличенную в 5 раз эпюру
. Достаточно взять одну точку выше определенной на глаз, приближенно границы и одну точку ниже ее. Соединив эти две точки, найдем на пересечении проведенной линии с эпюрой бытовых давлений искомую границу. Графическое определение В.С. подкрепляется аналитически.
Если же граница сжимаемой толщи попадает в слабый грунт (
) или он расположен ниже границы сжимаемой толщи, во избежание непредвиденных осадок необходимо произвольно увеличить мощность сжимаемой толщи, переместив нижнюю границу ее до подошвы этого слабого грунта.
Построение эпюр бытового и дополнительного давления, совместно с нахождением границы сжимаемой толщи, позволяет решить вопрос о надежности подстилающих слоев.
д) Проверка подстилающего слоя. Слой грунта, непосредственно воспринимающий нагрузку от фундамента – рабочий слой, а остальные слои грунта – подстилающие. При наличии в пределах сжимаемой толщи основания или несколько ниже ее слоя грунта меньшей прочности, чем прочность вышележащих слоев грунта, размеры фундамента должны назначаться такими, чтобы обеспечивать условие:

Рисунок 14

А) Расчетная схема фундамента на естественном основании

Б) Расчетная схема свайного фундамента под колонну
Где:
·
– дополнительное напряжение на кровле подстилающего слоя.
·
- напряжение от собственного веса грунта на кровле подстилающего слоя
·
- расчетное давление на подстилающий слой грунта, вычисленное для условного фундамента шириной by по формуле (15):

Где:
·
- глубина заложения подстилающего слоя
·
- для прямоугольного фундамента
- площадь условного фундамента
– для ленточного фундамента
- смотри главу 4 и 5

– площадь фундамента, м2

– длина фундамента,
- ширина фундамента
е) Определение осадок.
Осадка основания фундамента по методу послойного суммирования определяется (с учетом и без учета влияния соседних фундаментов) по формуле:
, (42)
Где: b - безразмерный коэффициент, равный 0,8;
szp,i - среднее значение дополнительного вертикального нормального напряжения в i -м слое грунта, равное полусумме указанных напряжений на верхней zi- 1 и нижней zi границах слоя по вертикали, проходящей через центр подошвы фундамента;
hi и Еi - соответственно толщина и модуль деформации i- го слоя грунта;
n - число слоев, на которые разбита сжимаемая толща основания.
Осадка основания в пределах сжимаемой толщи будет складываться из осадок элементарных слоев грунта, входящих в нее и должно быть меньше предельно допустимой осадки для данного сооружения:

Величины предельных деформаций даны в /4/ приложение 4. Методику расчета осадки свайных фундаментов под стену смотри в /7/ глава 7.