Для заключного вивчення процесів травлення шлунково-кишкового тракту найдосконалішим методом є ступінчаста кзтетеризі При цьому використовують накладання бри-

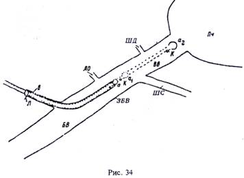
жового катетера (рис. 34, де В — гілка брижової вени; БВ — брижова вена; ЛО —ліва ободово-кишкова вена; ЗБВ —загальна брижова вена; ШС — шлунково-селезінкова вена; ПТД — шлунково-дванадцятипалакишкова вена; ВВ — ворітня вена; а — ангіокатетер в закритому положенні з боку судини; а, — інкатетер у висунутому положенні при взятті крові із загальної брижової вени через обидва катетери; а2 — положення інка-тетера при взятті крові з ворітної вени (через його) та із загальної брижової вени (через зовнішний катетер); К — отвір інкатетера; Л- — лігатура; Пч — печінка), який фіксується в будь-яких судинах, віддалених від ворітної вени. Для брижового катетера найдоцільніше брати ангіокатетер, що закривається з боку судини. В період операції вимірюють довжину від місця знаходження кінчика катетера до входження в дану судину бокових гілок. В період досліду, користуючись цими вимірюваннями, вводимо ін-катетер, таким чином одержуємо кров з різних ділянок шлунково-кишкового тракту через вставлений єдиний основний катетер (рис. 34).
|
|
|
Оскільки ворітна вена є великою магістральною судиною, в яку збирається відтікаюча кров від органів шлунково-кишкового тракту, то методом ступінчастої катетеризації через її гілки можна проникнути в каудальну порожнисту вену і, регулюючи розмірами просування інтеркатетера, одержати венозну кров з різних відділів шлунково-кишкового тракту.
Перед накладанням ступінчастого катетера ворітної системи за 15 днів виводять під шкіру невелику ділянку сонної артерії, з якої беруть кров для дослідів. Відомо, що артеріальна кров у всіх ділянках організму однакова за складом. Тому взявши пробу артеріальної і. венозної крові від певного органа, можна обчислити артеріовенозну різницю, а на основі одержаного результату диференціювати процеси обміну та всмоктування в різних ділянках шлунково-кишкового тракту і оцінити надход-зкення продуктів метаболізму з травного тракту до тканин різних органів тваринного організму.






